Prizori koji ostavljaju bez daha: Objavljeni snimci leta kroz centar uragana Melissa

let kroz uragan melissa/Screenshot
Foto: Screenshot/X
Nastavak vijesti ispod promo sadržaja

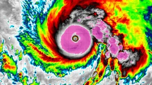
Navigator iz 53. eskadrile za meteorološko izviđanje američkog ratnog zrakoplovstva, poznate pod imenom „Lovci na uragane“, preletio je iznad uragana Melissa dok je razorila dijelove Jamajke u ponedjeljak, 27. oktobra.

Prema izvještajima meteorologa, Melissa je dan kasnije pogodila jugozapad Jamajke, u blizini mjesta New Hope, s procijenjenim maksimalnim brzinama vjetra od 295 kilometara na sat. Oluja kategorije 5 ocijenjena je kao najjača koja je ikada prijetila ostrvu.

Situacija je proglašena izuzetno opasnom i predstavlja ozbiljnu prijetnju po život stanovništva. Lokalnim zajednicama upućene su preporuke da ostanu u svojim domovima do prolaska oluje.

Nastavak vijesti ispod promo sadržaja

Premijer Jamajke Andrew Holness rekao je da su prva izvješća pokazala razarajuće posljedice uragana Melissa na otoku.

"Dosad imamo prijave o oštećenim bolnicama te velikoj šteti na kućama i poslovnim objektima", rekao je Holness za CNN.

Nastavak vijesti ispod promo sadržaja

Dodao je da je jugozapad zemlje, uključujući okrug St. Elizabeth, bio u “koridoru udara” prije nego što se uragan pomaknuo prema sjeverozapadu.

Još nema potvrđenih smrtnih slučajeva, ali s obzirom na snagu oluje i razmjere štete, Holness je rekao da "nažalost očekuje da će ih biti".